Wer wollte nicht schon immer nach Lautzenbrücken ziehen. So oft gibt es die Chance nicht, aber jetzt dann eben doch!
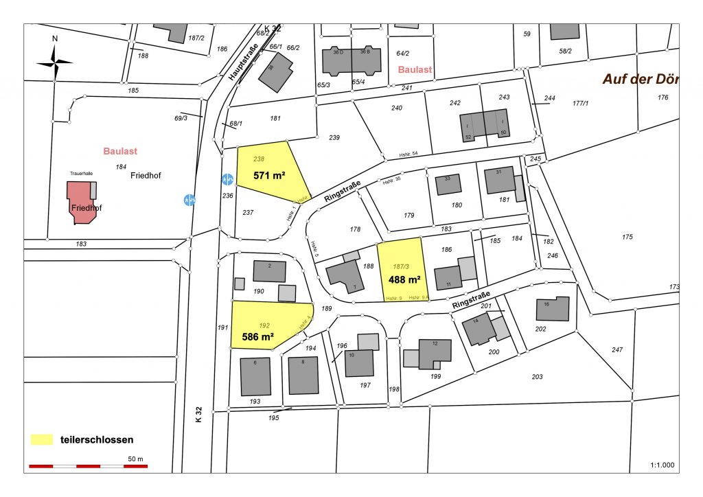
Drei Baugrundstücke sind wieder in Gemeindehand gewandert, so dass wir sie wieder direkt zum Erwerb zur Verfügung stellen. Das Grundstück Nr. 192 mit 586 m2, die Nr. 187/3 mit 488 m2 und die Nr. 238 mit 571 m2 (gelb markiert) stehen zum Erwerb bereit.

Wer Interesse hat, sich in einer lebendigen Ortsgemeinde mit viele verschiedenen Dorfaktivitäten und in unmittelbarere Nähe zu allen Bedürfnissen des Alltags (Schulen Einkaufsmöglichkeiten, Ärzte, Freizeitangebote, uvm.) niederzulassen, ist sehr herzlichen willkommen. Weitere Informationen sehr gerne direkt beim Ortsbürgermeister.