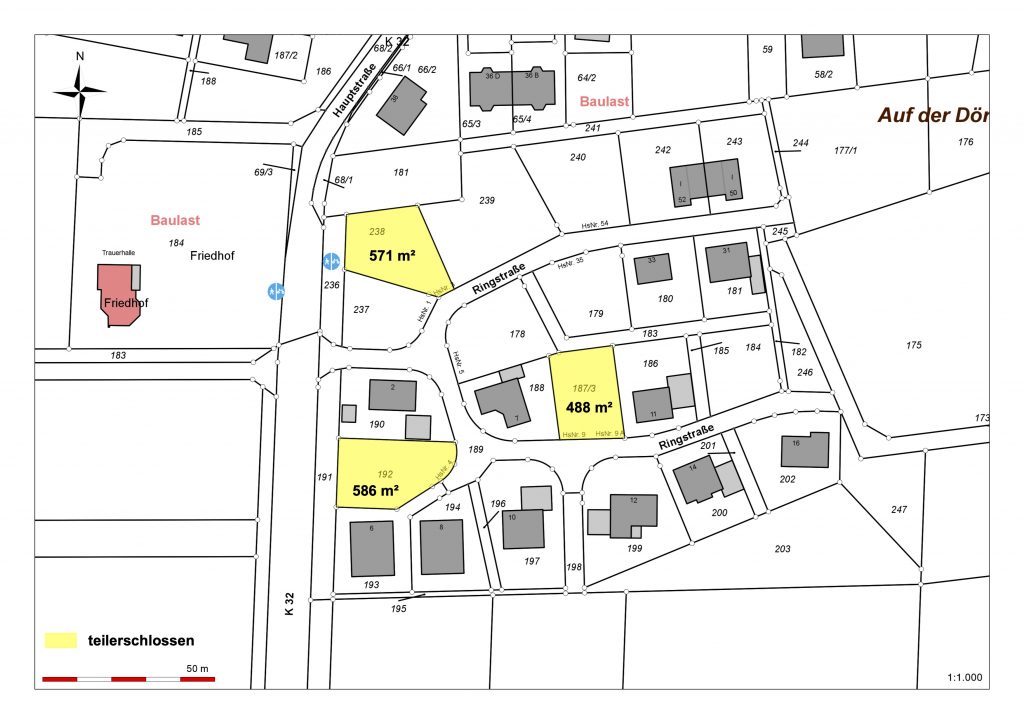
Bauplätze in Lautzenbrücken
Im Neubaugebiet „Lautzenbrücken Süd“ (1. Bauabschnitt) stehen noch drei Bauplätze zum Verkauf (gelb markiert),
Flur 3 Nr. 187/3, groß 488 m²
Flur 3 Nr. 192, groß 586 m²
Flur 3 Nr. 238, groß 571 m²
Die Ortsgemeinde verkauft zum Preis pro Quadratmeter von 16,50 € zzgl. der Erschließungskosten.

Die erschlossenen Baugrundstücke befinden sich an einem leichten Hang südlich der Ortslage.
Die Baustraße ist bereits mit einer Bitumentragschicht versehen. Alle Baugrundstücke können an die zentrale Erdgasleitung der RHENAG angeschlossen werden.
Für weitere Fragen stehe ich Ihnen gerne zur Verfügung.